
Chwasty
Chwast podobny do pietruszki: jak go rozpoznać i uniknąć pomyłek
Zidentyfikuj chwast podobny do pietruszki i uniknij niebezpiecznych pomyłek. Dowiedz się, jak bezpiecznie zbierać rośliny w naturze.
•
9 lipca 2025
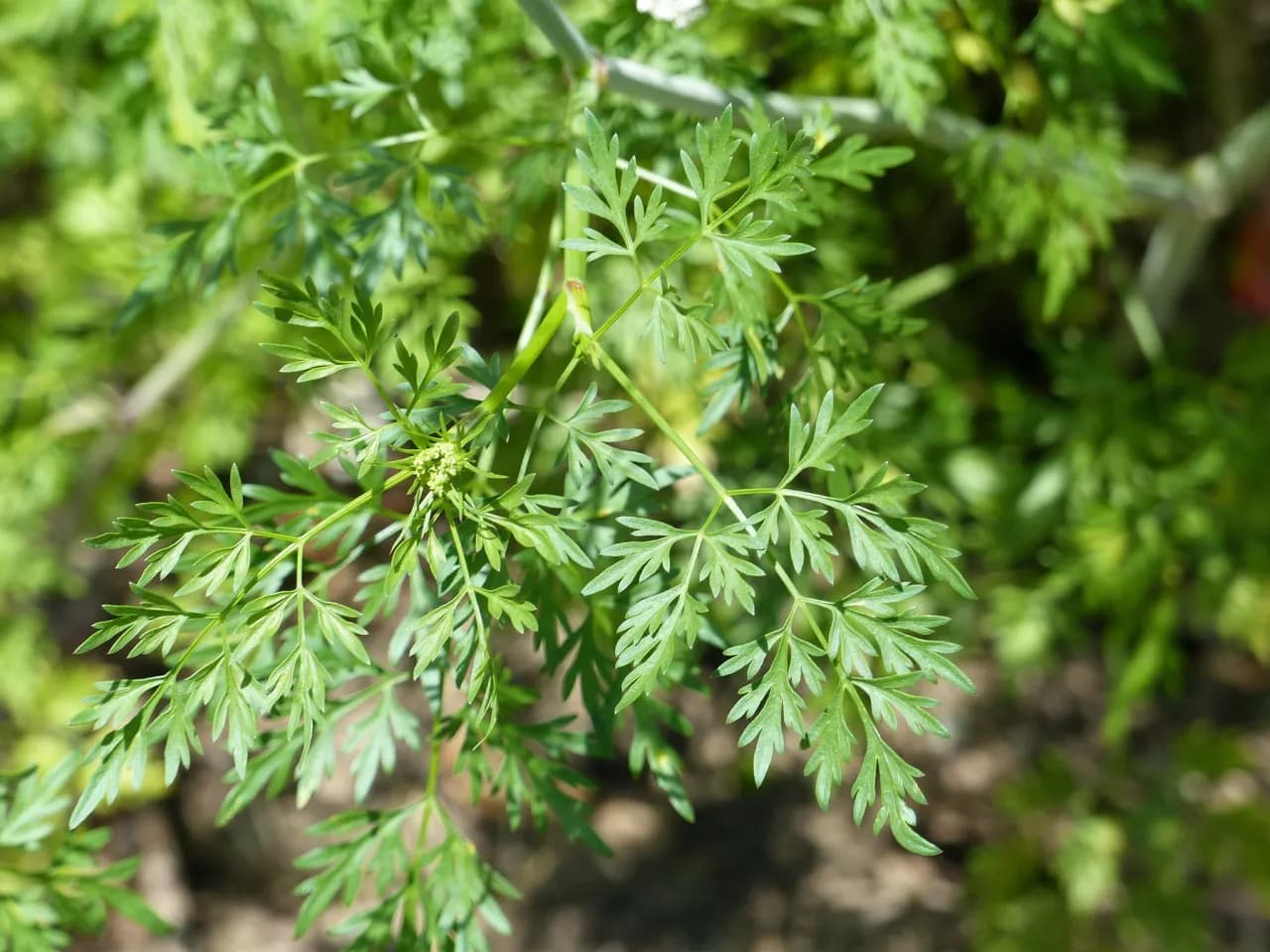
Chwast podobny do pietruszki: jak go rozpoznać i uniknąć pomyłek
Zidentyfikuj chwast podobny do pietruszki i uniknij niebezpiecznych pomyłek. Dowiedz się, jak bezpiecznie zbierać rośliny w naturze.